Purkuautot
MERCEDES A-KLASSE
VAIN OSILLE
Van der Horst GmbH
Düppelstraße 7
48599 Gronau/Westf.
e: onderdelen@hansvanderhorst.com
i-internet: https://www.autoverwertunggronau.de
Oma tunniste: 2455
Brändi: MERCEDES
Malli: A-KLASSE 761
Polttoainetta: Bensiini
Teho: 92 KW
Moottorin koko: 1898 KS
Ensimmäinen rekisteröinti / Kuukausi: 2003 / 2
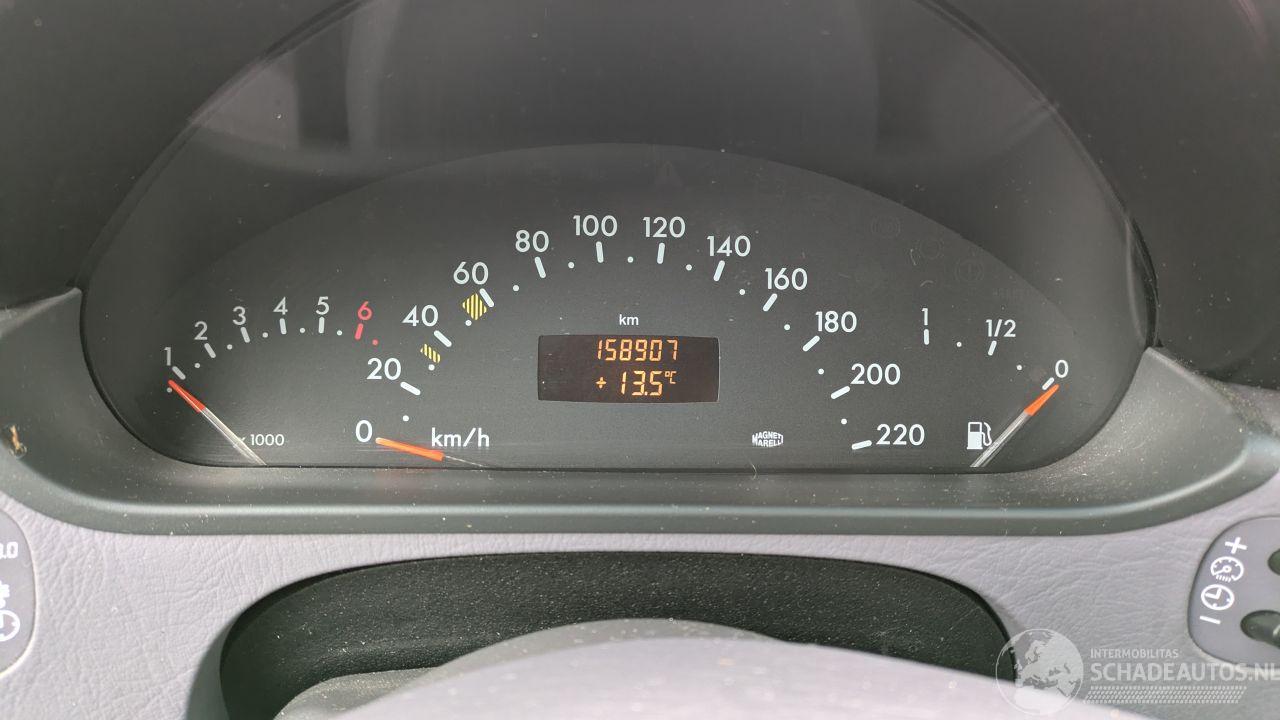
Matkamittarin lukema: 158.907 KM
ARVONLISÄVERO. / Marginaali: MARGINAALI
Alustan numero: WDD1681321K01****
Moottorin koodi: 16699030731066
Vaihdenumero: 71650600870749
Maalityyppi: Metallinen
Ovien lukumäärä: 5
Haluatko lisätietoja tästä ajoneuvosta? Ota yhteyttä kautta
P: +49 2562 21 456P: +31 53711 36 27
E:
onderdelen@hansvanderhorst.com